NWS confirms tornado in Spokane, photos show flipped trailers and downed trees
The National Weather Service in Spokane said that the tornado touched down near I-90. They received reports of trees down and two trailers flipped. Friday's tornado was the first in Spokane County since August 9, 2016.
The National Weather Service in Spokane said that the tornado touched down near I-90. They received reports of trees down and two trailers flipped. Friday's tornado was the first in Spokane County since August 9, 2016.
'It's devastating': Significant damage reported after tornadoes move through Kansas
Only minor injuries have been reported at this time
Only minor injuries have been reported at this time
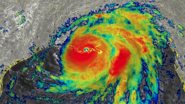
Beware the 'I' storm: It has more retirees than any other letter used for Atlantic hurricane names
Tweleve 'I' storms have been retired in the Atlantic – 10 of them since 2001.
Tweleve 'I' storms have been retired in the Atlantic – 10 of them since 2001.
Federal investigators order Amazon to review severe weather procedures after workers killed during tornado
The company said it will hold additional emergency preparedness drills and consider safety recommendations to improve safety.
The company said it will hold additional emergency preparedness drills and consider safety recommendations to improve safety.
Watch: NWS confirms waterspout that wreaked wreaks havoc on dock in Washington
The winds flipped over a canoe, pulled a small boat from one side of the dock to the other, and slammed a plastic basket into the sliding glass door.
The winds flipped over a canoe, pulled a small boat from one side of the dock to the other, and slammed a plastic basket into the sliding glass door.
‘We’re just trusting God to help us’: Pastor of church destroyed by tornado pushes ahead with Easter services
Amongst the rubble is the site of the Victory Baptist Church, which is essentially now nothing more than a concrete slab.
Amongst the rubble is the site of the Victory Baptist Church, which is essentially now nothing more than a concrete slab.
Storm fatigue: Small Mississippi town has seen more tornado warnings this year than anywhere else in America
No place has had to defend against tornados as much as Mississippi this year. There have already been 87 tornado reports in the state -- more than Texas despite being 1/6th the size,
No place has had to defend against tornados as much as Mississippi this year. There have already been 87 tornado reports in the state -- more than Texas despite being 1/6th the size,
Historic size? National Weather Service to study large hail found in Texas
After posting about the 5.5-inch hailstone on social media, the National Weather Service contacted her and asked Brown to preserve it, so they can study it.
After posting about the 5.5-inch hailstone on social media, the National Weather Service contacted her and asked Brown to preserve it, so they can study it.
Watch: Storm chaser video shows moment lightning strikes car during Iowa tornado
A storm chaser in Iowa captured a “once in a lifetime” video of lightning striking his friend’s car during a tornado.
A storm chaser in Iowa captured a “once in a lifetime” video of lightning striking his friend’s car during a tornado.
Hail larger than grapefruits falls over Central Texas
The 5.5-inch hailstone fell in Salado, Texas.
The 5.5-inch hailstone fell in Salado, Texas.
Tornado Watches issued for 4 million as storms threaten South through Wednesday
Damaging winds, large hail and tornadoes are all threats from this latest siege of severe weather.
Damaging winds, large hail and tornadoes are all threats from this latest siege of severe weather.
'Significant snowstorm' expected to make travel on Washington passes difficult
A strong storm will impact the Pacific Northwest starting Sunday night with gusty wind, heavy rain, significant mountain snow, and high surf on the coast.
A strong storm will impact the Pacific Northwest starting Sunday night with gusty wind, heavy rain, significant mountain snow, and high surf on the coast.
Rare upward lightning strike spotted over Kansas during severe thunderstorm
Tuesday was indeed an electrifying night in Kansas as a photographer captured an incredible upward strike of lightning amid a raging thunderstorm.
Tuesday was indeed an electrifying night in Kansas as a photographer captured an incredible upward strike of lightning amid a raging thunderstorm.
Severe storms shift east after pummeling US South, killing at least 2 in Florida
Severe storms ripped across the Deep South overnight, killing at least two in the Florida Panhandle, as the threat now moves toward the East Coast.
Severe storms ripped across the Deep South overnight, killing at least two in the Florida Panhandle, as the threat now moves toward the East Coast.
Pileup in Pennsylvania: Video shows fiery scene of massive I-81 crash during snow squall
A video captured the scene of a massive pileup along Pennsylvania’s I-81 during a snow squall, killing at least three people and injuring several others.
A video captured the scene of a massive pileup along Pennsylvania’s I-81 during a snow squall, killing at least three people and injuring several others.
'I was speechless': 16-year-old who drove red truck through Texas tornado describes event
FOX 7 Austin spoke with the teen driver who drove his red truck through a Texas tornado on Monday. He described the shocking event.
FOX 7 Austin spoke with the teen driver who drove his red truck through a Texas tornado on Monday. He described the shocking event.
New Orleans tornado kills 1, cuts path of destruction through suburbs
Louisiana activated 300 National Guard personnel to clear roads and provide support after severe storms hit the area, spawning deadly tornadoes.
Louisiana activated 300 National Guard personnel to clear roads and provide support after severe storms hit the area, spawning deadly tornadoes.
Tornadoes hit large cities: This is why
It’s a common myth that tornadoes don’t hit large cities, but that's simply not true -- they are just less common. Here's why.
It’s a common myth that tornadoes don’t hit large cities, but that's simply not true -- they are just less common. Here's why.
Girl survives tornado that dropped house onto street in New Orleans
Authorities say the tornado that ripped through a suburb of New Orleans lifted one house into the air and dropped it onto the middle of a street with a family of three inside.
Authorities say the tornado that ripped through a suburb of New Orleans lifted one house into the air and dropped it onto the middle of a street with a family of three inside.
Tornado tears through New Orleans as storms hit Deep South
The tornado moved Tuesday night across eastern New Orleans and St. Bernard Parish, causing extensive damage.
The tornado moved Tuesday night across eastern New Orleans and St. Bernard Parish, causing extensive damage.


















