Omicron COVID-19 variant detected in Hawaii
The omicron variant has been detected in at least 23 countries and at least three other states.
The omicron variant has been detected in at least 23 countries and at least three other states.
Passenger who disrupted flight to Seattle charged with federal crimes, fined $52K by FAA
A passenger who disrupted a flight from Hawaii to Seattle last December has been charged on a federal level and has been fined $52,000 by the Federal Aviation Administration (FAA)
A passenger who disrupted a flight from Hawaii to Seattle last December has been charged on a federal level and has been fined $52,000 by the Federal Aviation Administration (FAA)
Hawaii earthquakes: 2 strong shakes off Big Island coast
Two strong earthquakes - both over 6.0 in magnitude - struck off the coast of the Big Island in Hawaii on Sunday.
Two strong earthquakes - both over 6.0 in magnitude - struck off the coast of the Big Island in Hawaii on Sunday.
Kilauea eruption: Video captures lava spewing from Hawaii volcano
One of the most active volcanos on Earth is erupting on Hawaii’s Big Island.
One of the most active volcanos on Earth is erupting on Hawaii’s Big Island.
Hawaii governor urges visitors to stay away
Hawaii’s governor asked that visitors and residents reduce travel to the islands to essential business only while the state struggles to control COVID-19 as the highly contagious delta variant spreads in the community.
Hawaii’s governor asked that visitors and residents reduce travel to the islands to essential business only while the state struggles to control COVID-19 as the highly contagious delta variant spreads in the community.
Hawaii's Big Island battles record wildfire amid drought
Hawaii’s Big Island is currently battling a record size wildfire that forced thousands to evacuate amid worsening drought conditions.
Hawaii’s Big Island is currently battling a record size wildfire that forced thousands to evacuate amid worsening drought conditions.
Hawaii police: Washington state tourist’s death was homicide
The death of a Washington state tourist has been ruled a homicide, more than a year after her body was found in a Hawaii bay, police said.
The death of a Washington state tourist has been ruled a homicide, more than a year after her body was found in a Hawaii bay, police said.
Standoff at luxury resort in Honolulu ends when man kills self, local media reports
Police said an armed man barricaded himself in his fourth-floor room in the Kahala Hotel and fired multiple shots through the door.
Police said an armed man barricaded himself in his fourth-floor room in the Kahala Hotel and fired multiple shots through the door.
Hawaii's Kilauea Volcano continues to vent lava
The western half of the lava lake in a crater on Kilauea Volcano was about 650 feet deep Friday morning.
The western half of the lava lake in a crater on Kilauea Volcano was about 650 feet deep Friday morning.
‘Is it going to crash?’: Shocking video captures jet apparently catching fire in midair over Honolulu
A man captured video of a passenger jet apparently catching fire in midair in Honolulu over Labor Day weekend.
A man captured video of a passenger jet apparently catching fire in midair in Honolulu over Labor Day weekend.
Visitors to Hawaii will be required to fill out mandatory health questionnaire before entry
Hawaii officials announced the implementation of a mandatory health questionnaire that also requests travel information for all visitors to the island amid the COVID-19 pandemic.
Hawaii officials announced the implementation of a mandatory health questionnaire that also requests travel information for all visitors to the island amid the COVID-19 pandemic.
Push for tighter vaping restrictions fails in Hawaii
Hawaii lawmakers on Thursday killed a proposal that would have banned flavored electronic smoking devices and e-liquids, saying they suspected teenagers would continue to get the products online even if sales were prohibited.Supporters said the bill was needed to fight an alarming surge in teenage vaping.
Hawaii lawmakers on Thursday killed a proposal that would have banned flavored electronic smoking devices and e-liquids, saying they suspected teenagers would continue to get the products online even if sales were prohibited.Supporters said the bill was needed to fight an alarming surge in teenage vaping.
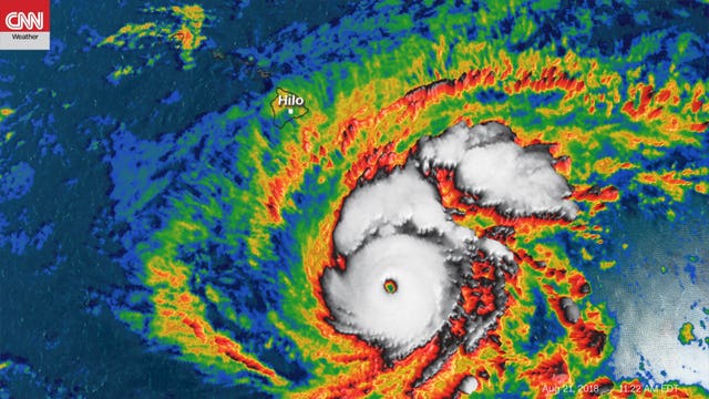
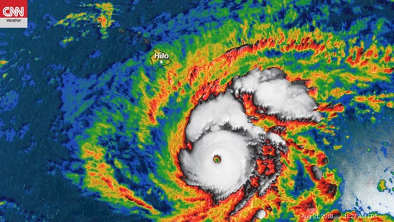
Hurricane Lane weakens, but still packing wallop as it nears Hawaii
Hurricane Lane has weakened as it approaches Hawaii but was still expected to pack a wallop, forecasters said Wednesday. The National Weather Service said tropical-storm-force winds could begin as early as Wednesday afternoon on the Big Island.
Hurricane Lane has weakened as it approaches Hawaii but was still expected to pack a wallop, forecasters said Wednesday. The National Weather Service said tropical-storm-force winds could begin as early as Wednesday afternoon on the Big Island.
Hawaii volcano lava destroys hundreds of homes overnight
Lava from the Kilauea volcano destroyed hundreds of homes in a mostly rural area on the Big Island of Hawaii overnight, a county spokeswoman said Tuesday. The destruction is the largest number of destroyed homes since the eruption began last month.
Lava from the Kilauea volcano destroyed hundreds of homes in a mostly rural area on the Big Island of Hawaii overnight, a county spokeswoman said Tuesday. The destruction is the largest number of destroyed homes since the eruption began last month.
Rare blue fire looks creepy, but has a simple explanation
Scientists in Hawaii have captured rare images of blue flames burning from cracks in the pavement as Kilauea volcano gushes fountains of lava in the background, offering a look at a new dimension in the volcano's weeks-long eruption.
Scientists in Hawaii have captured rare images of blue flames burning from cracks in the pavement as Kilauea volcano gushes fountains of lava in the background, offering a look at a new dimension in the volcano's weeks-long eruption.
First major injury from Hawaiian volcano reported
A volcano that is oozing, spewing and exploding on Hawaii's Big Island has gotten more hazardous, sending rivers of molten rock pouring into the ocean Sunday and launching lava skyward that caused the first major injury.
A volcano that is oozing, spewing and exploding on Hawaii's Big Island has gotten more hazardous, sending rivers of molten rock pouring into the ocean Sunday and launching lava skyward that caused the first major injury.
Noisy fissure prompts Hawaii officials to call for more evacuations
A new fissure emitting steam and lava spatter spurred Hawaii officials to call for more evacuations on Sunday as residents braced for an expected eruption from the Kilauea volcano.
A new fissure emitting steam and lava spatter spurred Hawaii officials to call for more evacuations on Sunday as residents braced for an expected eruption from the Kilauea volcano.
Lava flow destroys at least 35 homes on the Big Island of Hawaii
At least 35 structures have been destroyed after the Kilauea volcano erupted on Hawaii's Big Island last week, Hawaii Civil Defense said Monday.
At least 35 structures have been destroyed after the Kilauea volcano erupted on Hawaii's Big Island last week, Hawaii Civil Defense said Monday.
Hawaii worker who sent false missile alert thought threat was real
A Hawaii employee who mistakenly sent an alert warning of an incoming ballistic missile earlier this month, creating a panic across the state, thought an actual attack was imminent, the Federal Communications Commission said Tuesday.
A Hawaii employee who mistakenly sent an alert warning of an incoming ballistic missile earlier this month, creating a panic across the state, thought an actual attack was imminent, the Federal Communications Commission said Tuesday.
Hawaii bill would classify homelessness as medical condition
A Hawaii lawmaker wants to classify homelessness as a medical condition and let homeless people use Medicaid money to pay for housing.
A Hawaii lawmaker wants to classify homelessness as a medical condition and let homeless people use Medicaid money to pay for housing.



















