Anheuser-Busch breweries to produce emergency canned water
FORT COLLINS, Colo. -- Anheuser-Busch's brewery in Fort Collins has become the company's second facility that can produce cans of drinking water for those affected by natural disasters and other emergencies, according to KDVR.The Fort Collins brewery joins Anheuser-Busch's facility in Cartersville, Georgia, that will produce emergency drinking water.The announcement was made Wednesday as Hurricane Florence appears poised to strike the East Coast.Anheuser-Busch says its emergency relief program has provided more than 79 million cans of water since 1988.
FORT COLLINS, Colo. -- Anheuser-Busch's brewery in Fort Collins has become the company's second facility that can produce cans of drinking water for those affected by natural disasters and other emergencies, according to KDVR.The Fort Collins brewery joins Anheuser-Busch's facility in Cartersville, Georgia, that will produce emergency drinking water.The announcement was made Wednesday as Hurricane Florence appears poised to strike the East Coast.Anheuser-Busch says its emergency relief program has provided more than 79 million cans of water since 1988.
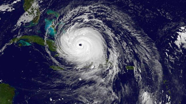
Time's nearly up: Fierce Hurricane Florence aims at Southeast
MYRTLE BEACH, S.C. (AP) — Time is running short to get out of the way of Hurricane Florence, a monster of a storm that has a region of more than 10 million people in its potentially devastating sights as it zeroes in on the Southeastern coast.Forecasters said wind speeds have dropped from a high of 140 mph to 110 mph, reducing it from a Category 4 storm to a Category 2, and additional fluctuations and weakening were likely as it swirled toward land.
MYRTLE BEACH, S.C. (AP) — Time is running short to get out of the way of Hurricane Florence, a monster of a storm that has a region of more than 10 million people in its potentially devastating sights as it zeroes in on the Southeastern coast.Forecasters said wind speeds have dropped from a high of 140 mph to 110 mph, reducing it from a Category 4 storm to a Category 2, and additional fluctuations and weakening were likely as it swirled toward land.
Local hurricane relief efforts underway in preparation for Hurricane Florence
FIFE, Wash. -- As Hurrricane Florence barrels towards the East Coast, some local organizations are doing what they can to help with relief efforts.Groups like Bloodworks Northwest and World Vision USA are sending as much as they can to hurricane evacuees.
FIFE, Wash. -- As Hurrricane Florence barrels towards the East Coast, some local organizations are doing what they can to help with relief efforts.Groups like Bloodworks Northwest and World Vision USA are sending as much as they can to hurricane evacuees.
Florence's quiet potential disaster: Hog manure
Manure lagoons are about as pleasant as they sound—vast open-air ponds of manure located next to the many hog farms near the North Carolina coast.
Manure lagoons are about as pleasant as they sound—vast open-air ponds of manure located next to the many hog farms near the North Carolina coast.
Army officer who just moved from JBLM describes conditions in N.C. as hurricane approaches
ore than 1 million people in North Carolina, South Carolina and Virginia are facing a choice -- stay home and take their chances with Hurricane Florence or drive inland.
ore than 1 million people in North Carolina, South Carolina and Virginia are facing a choice -- stay home and take their chances with Hurricane Florence or drive inland.
Blood donors needed as local blood bank sends supplies to East Coast ahead of Florence
SEATTLE -- As Hurricane Florence approaches the East Coast, Bloodworks Northwest has sent an emergency shipment of 34 blood components to hospitals in North Carolina and Virginia to help these coastal areas prepare for the potentially devastating impact of the hurricane.That leaves the local blood bank with a critically low inventory of type O and several other blood types and platelets that about 100 regional hospitals depend on for both emergencies and common surgeries, according to a news release from Bloodworks.“While our primary mission supports local patients, when catastrophes happen we do whatever we can to help, even when local supplies are as tight as they’ve been in recent weeks,” said Dr.
SEATTLE -- As Hurricane Florence approaches the East Coast, Bloodworks Northwest has sent an emergency shipment of 34 blood components to hospitals in North Carolina and Virginia to help these coastal areas prepare for the potentially devastating impact of the hurricane.That leaves the local blood bank with a critically low inventory of type O and several other blood types and platelets that about 100 regional hospitals depend on for both emergencies and common surgeries, according to a news release from Bloodworks.“While our primary mission supports local patients, when catastrophes happen we do whatever we can to help, even when local supplies are as tight as they’ve been in recent weeks,” said Dr.
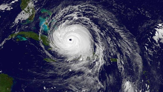
Florence strengthens to dangerous Category 4 hurricane, takes aim at Carolinas
As Hurricane Florence approaches the East Coast of the United States, the governors of North and South Carolina have issued mandatory evacuation orders affecting tens of thousands of residents in coastal areas.
As Hurricane Florence approaches the East Coast of the United States, the governors of North and South Carolina have issued mandatory evacuation orders affecting tens of thousands of residents in coastal areas.
Snohomish PUD workers heading to help with Hurricane Irma relief
Workers from Snohomish County P.U.D. left Sunday morning to help with hurricane relief in Florida and Georgia.
Workers from Snohomish County P.U.D. left Sunday morning to help with hurricane relief in Florida and Georgia.
6 dead in Florida nursing home left with no A/C after Irma
HOLLYWOOD, Fla. -- Six patients at a sweltering Hollywood nursing home died in Hurricane Irma's aftermath, authorities said Wednesday, as people confronted a multitude of new hazards in the storm's wake, including oppressive heat, brush-clearing accidents and lethal fumes from generators.Hollywood Police Chief Tom Sanchez said investigators believe the deaths at the Rehabilitation Center at Hollywood Hills were heat-related, and added: "The building has been sealed off and we are conducting a criminal investigation." He did not elaborate.Three patients were found dead at the nursing home early Wednesday, and three more died at the hospital after a total of more than 100 were evacuated, authorities said.The air conditioning was out, but Sanchez said it remained under investigation whether power was entirely cut.
HOLLYWOOD, Fla. -- Six patients at a sweltering Hollywood nursing home died in Hurricane Irma's aftermath, authorities said Wednesday, as people confronted a multitude of new hazards in the storm's wake, including oppressive heat, brush-clearing accidents and lethal fumes from generators.Hollywood Police Chief Tom Sanchez said investigators believe the deaths at the Rehabilitation Center at Hollywood Hills were heat-related, and added: "The building has been sealed off and we are conducting a criminal investigation." He did not elaborate.Three patients were found dead at the nursing home early Wednesday, and three more died at the hospital after a total of more than 100 were evacuated, authorities said.The air conditioning was out, but Sanchez said it remained under investigation whether power was entirely cut.
Weakened Irma lashes much of Florida; full impact unknown
Hurricane Irma gave Florida a coast-to-coast pummeling with winds up to 130 mph Sunday, swamping homes and boats, knocking out power to millions and toppling massive construction cranes over the Miami skyline.
Hurricane Irma gave Florida a coast-to-coast pummeling with winds up to 130 mph Sunday, swamping homes and boats, knocking out power to millions and toppling massive construction cranes over the Miami skyline.
Dozens arrested for looting, breaking curfew as Irma bashes Florida
Police in Florida have arrested nine people who were caught on TV cameras looting sneakers and other goods from a sporting goods store and a pawn shop during Hurricane Irma.
Police in Florida have arrested nine people who were caught on TV cameras looting sneakers and other goods from a sporting goods store and a pawn shop during Hurricane Irma.
Good Samaritans rescue 2 manatees as Irma sucks water from Florida bay
Two manatees were stranded after Hurricane Irma sucked water out of Sarasota Bay, in Florida's Manatee County.
Two manatees were stranded after Hurricane Irma sucked water out of Sarasota Bay, in Florida's Manatee County.
Irma recovery could require 11M meals, 24,000 tarps and more
With the arrival of what is potentially one of the most devastating storms to ever hit Florida, officials have set aside 3.2 million liters (0.85 million gallons) of water, filled 67 trailers with meals, and amassed 24,000 tarps.
With the arrival of what is potentially one of the most devastating storms to ever hit Florida, officials have set aside 3.2 million liters (0.85 million gallons) of water, filled 67 trailers with meals, and amassed 24,000 tarps.
'Pray for everybody': Irma begins its assault on Florida
MIAMI (AP) — A monster Hurricane Irma roared into Florida with 130 mph winds Sunday for what could be a sustained assault on nearly the entire Sunshine State, flooding streets, knocking out power to more than 1.8 million homes and businesses and snapping a construction crane over the Miami skyline.The nearly 400-mile-wide storm blew ashore in the morning in the mostly cleared-out Florida Keys and was expected to make a slow, ruinous march up the state's west coast, hitting the heavily populated Tampa-St.
MIAMI (AP) — A monster Hurricane Irma roared into Florida with 130 mph winds Sunday for what could be a sustained assault on nearly the entire Sunshine State, flooding streets, knocking out power to more than 1.8 million homes and businesses and snapping a construction crane over the Miami skyline.The nearly 400-mile-wide storm blew ashore in the morning in the mostly cleared-out Florida Keys and was expected to make a slow, ruinous march up the state's west coast, hitting the heavily populated Tampa-St.
Local teams head to Florida to help during IRMA and aftermath
PIERCE COUNTY, Wash. -- The state of Florida is receiving assistance and help from volunteers all across the country, including from Western Washington.A team of volunteer firefighters, police officers and EMT’s from Pierce and King counties arrived in Georgia and will help however they can saving lives and preserving property as Irma hits Florida.
PIERCE COUNTY, Wash. -- The state of Florida is receiving assistance and help from volunteers all across the country, including from Western Washington.A team of volunteer firefighters, police officers and EMT’s from Pierce and King counties arrived in Georgia and will help however they can saving lives and preserving property as Irma hits Florida.
ST.
Despite warnings, some residents insist on riding out Irma at home
REDINGTON SHORES, Fla. — Carl Roberts has Chinese food, a case of water and a million-dollar view in his 17th floor Gulf front condo — all he needs, he says, to weather the massive storm coming straight at him.Authorities have beseeched more than 6 million people in Florida and Georgia to evacuate before Hurricane Irma's storm surge and fierce winds make it impossible to flee or be rescued.
REDINGTON SHORES, Fla. — Carl Roberts has Chinese food, a case of water and a million-dollar view in his 17th floor Gulf front condo — all he needs, he says, to weather the massive storm coming straight at him.Authorities have beseeched more than 6 million people in Florida and Georgia to evacuate before Hurricane Irma's storm surge and fierce winds make it impossible to flee or be rescued.
Hurricane Irma batters Cuba, sets sights on Florida
CAIBARIEN, Cuba (AP) — Irma collapsed buildings and battered Cuba with deafening winds and relentless rain Saturday, while a second hurricane, Jose, threatened to lash already-reeling islands elsewhere in the Caribbean.Across a swath of Cuba, utility poles were toppled, trees uprooted and roads blocked.
CAIBARIEN, Cuba (AP) — Irma collapsed buildings and battered Cuba with deafening winds and relentless rain Saturday, while a second hurricane, Jose, threatened to lash already-reeling islands elsewhere in the Caribbean.Across a swath of Cuba, utility poles were toppled, trees uprooted and roads blocked.
ST.
Caribbean Sounders FC 2 head coach, player worry for loved ones after Hurricane Irma
SEATTLE – As Floridians prepare for the wrath of Irma, some people in our area are already dealing with its aftermath.
SEATTLE – As Floridians prepare for the wrath of Irma, some people in our area are already dealing with its aftermath.


















