Florida sheriff bans sex offenders from entering Irma shelters
Polk County Sheriff Grady Judd posted on his official Twitter account Wednesday that deputies will be checking identification at the county's shelters.
Polk County Sheriff Grady Judd posted on his official Twitter account Wednesday that deputies will be checking identification at the county's shelters.
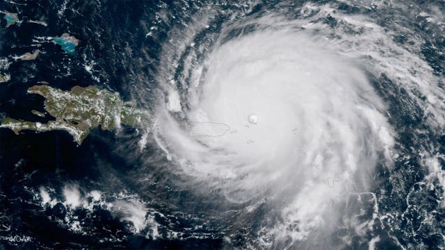
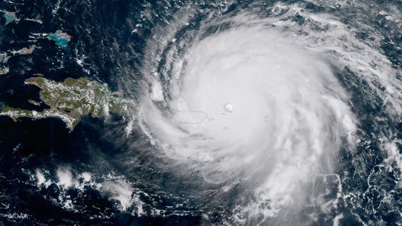
Powerful Hurricane Irma lashes Puerto Rico, leaves tiny Barbuda devastated
SAN JUAN, Puerto Rico (AP) — Hurricane Irma lashed Puerto Rico with heavy rain and powerful winds Wednesday night, leaving nearly 900,000 people without power as authorities struggled to get aid to small Caribbean islands already devastated by the historic storm.Florida rushed to prepare for a possible direct hit on the Miami area by the Category 5 storm with potentially catastrophic 185 mph winds.Nearly every building on the island of Barbuda was damaged when the eye of the storm passed almost directly overhead early Wednesday and about 60 percent of the island’s roughly 1,400 people were left homeless, Antigua and Barbuda Prime Minister Gaston Browne told The Associated Press.“Either they were totally demolished or they would have lost their roof,” Browne said after returning to Antigua from a plane trip to the neighboring island. “It is just really a horrendous situation.”He said roads and telecommunications systems were destroyed and recovery will take months, if not years.
SAN JUAN, Puerto Rico (AP) — Hurricane Irma lashed Puerto Rico with heavy rain and powerful winds Wednesday night, leaving nearly 900,000 people without power as authorities struggled to get aid to small Caribbean islands already devastated by the historic storm.Florida rushed to prepare for a possible direct hit on the Miami area by the Category 5 storm with potentially catastrophic 185 mph winds.Nearly every building on the island of Barbuda was damaged when the eye of the storm passed almost directly overhead early Wednesday and about 60 percent of the island’s roughly 1,400 people were left homeless, Antigua and Barbuda Prime Minister Gaston Browne told The Associated Press.“Either they were totally demolished or they would have lost their roof,” Browne said after returning to Antigua from a plane trip to the neighboring island. “It is just really a horrendous situation.”He said roads and telecommunications systems were destroyed and recovery will take months, if not years.
Weather Service chief: Irma impossible to hype
National Weather Service Director Louis Uccellini says Hurricane Irma is so record-breaking strong it's impossible to hype.
National Weather Service Director Louis Uccellini says Hurricane Irma is so record-breaking strong it's impossible to hype.
Mayor: Houston 'open for business' despite Harvey disaster
Houston's mayor insists that America's fourth-largest city is "open for business," but with areas under water, people not yet in their homes, and billions in damage to repair, major disasters that Harvey created are by no means resolved.
Houston's mayor insists that America's fourth-largest city is "open for business," but with areas under water, people not yet in their homes, and billions in damage to repair, major disasters that Harvey created are by no means resolved.
Seattle Humane plans to take in 300 pets from Texas animal shelters
Seattle Humane is prepared to take in up to 200 cats and 100 dogs from animal rescue organizations in Texas following Hurricane Harvey.
Seattle Humane is prepared to take in up to 200 cats and 100 dogs from animal rescue organizations in Texas following Hurricane Harvey.
Pizza Hut workers deliver pies by kayak to Harvey victims
SUGAR LAND, Texas – Workers from a Houston-area Pizza Hut are using kayaks to navigate flooded streets and deliver food to people stranded by Harvey."When I heard there were families in need, I knew we had to act fast," Sugar Land Pizza Hut manager Shayda Habib said, according to KPRC.
SUGAR LAND, Texas – Workers from a Houston-area Pizza Hut are using kayaks to navigate flooded streets and deliver food to people stranded by Harvey."When I heard there were families in need, I knew we had to act fast," Sugar Land Pizza Hut manager Shayda Habib said, according to KPRC.
Floodwaters drop in Houston as Harvey takes a second swipe; death toll climbs to at least 31
HOUSTON (AP) — Harvey's floodwaters started dropping across much of the Houston area and the sun came out Wednesday in a glimmer of hope for the stricken city, even as the storm doubled back toward land and pounded communities farther east, near the Texas-Louisiana line.The scope of the devastation caused by the hurricane came into sharper focus, meanwhile, and the murky green floodwaters from the record-breaking, 4-foot deluge of rain began yielding up bodies as predicted.The confirmed death toll climbed to 31, including six family members — four of them children — whose bodies were pulled Wednesday from a van that had been swept off a Houston bridge into a bayou.
HOUSTON (AP) — Harvey's floodwaters started dropping across much of the Houston area and the sun came out Wednesday in a glimmer of hope for the stricken city, even as the storm doubled back toward land and pounded communities farther east, near the Texas-Louisiana line.The scope of the devastation caused by the hurricane came into sharper focus, meanwhile, and the murky green floodwaters from the record-breaking, 4-foot deluge of rain began yielding up bodies as predicted.The confirmed death toll climbed to 31, including six family members — four of them children — whose bodies were pulled Wednesday from a van that had been swept off a Houston bridge into a bayou.
Photo shows FEMA truck stuck in Harvey's floodwaters
HOUSTON -- A FEMA truck headed to help victims of Hurricane Harvey ended up getting stuck in the floodwaters.KDVR reporter Vicente Arenas captured a photo of the semi hauling a FEMA trailer surrounded by water in south Houston Wednesday morning.Arenas said people in the neighborhood thought the water would recede some by Wednesday, but it has not.
HOUSTON -- A FEMA truck headed to help victims of Hurricane Harvey ended up getting stuck in the floodwaters.KDVR reporter Vicente Arenas captured a photo of the semi hauling a FEMA trailer surrounded by water in south Houston Wednesday morning.Arenas said people in the neighborhood thought the water would recede some by Wednesday, but it has not.
Harvey makes landfall in Louisiana
The National Hurricane Center says Harvey is back on land after coming ashore early Wednesday just west of Cameron, Louisiana.
The National Hurricane Center says Harvey is back on land after coming ashore early Wednesday just west of Cameron, Louisiana.
Harvey rain in Texas is heaviest in U.S. history; flood defenses strained
HOUSTON (AP) — As the human toll and the strain on flood defenses mounted, the city of Houston moved Tuesday to open two and possibly three more mega-shelters, and the rain from Harvey officially became the heaviest tropical downpour in U.S. history.Louisiana's governor offered to take in Harvey victims from Texas, and televangelist Joel Osteen opened his Houston megachurch, a 16,000-seat former arena, after critics blasted him on social media for not acting to help families displaced by the storm.The city's largest shelter, the George R.
HOUSTON (AP) — As the human toll and the strain on flood defenses mounted, the city of Houston moved Tuesday to open two and possibly three more mega-shelters, and the rain from Harvey officially became the heaviest tropical downpour in U.S. history.Louisiana's governor offered to take in Harvey victims from Texas, and televangelist Joel Osteen opened his Houston megachurch, a 16,000-seat former arena, after critics blasted him on social media for not acting to help families displaced by the storm.The city's largest shelter, the George R.
Trump offers Texans in-person reassurances on storm recovery
Starting his visit to Texas in wind-whipped but sunny Corpus Christi, Donald Trump's motorcade passed broken trees, knocked-down signs and fences askew as it made its way to a firehouse for a briefing with local officials.
Starting his visit to Texas in wind-whipped but sunny Corpus Christi, Donald Trump's motorcade passed broken trees, knocked-down signs and fences askew as it made its way to a firehouse for a briefing with local officials.
Brewery halts beer production to supply water for Harvey victims
CARTERSVILLE, Ga. -- An Anheuser-Busch brewery in Georgia is shipping canned drinking water to the American Red Cross to help Hurricane Harvey relief efforts in Texas and Louisiana.The St.
CARTERSVILLE, Ga. -- An Anheuser-Busch brewery in Georgia is shipping canned drinking water to the American Red Cross to help Hurricane Harvey relief efforts in Texas and Louisiana.The St.
Harvey will make landfall a 3rd time as catastrophic storm shatters records
Around Houston and southeast Texas, Harvey, will transition from being an extreme flash flooding event to a longer lived record-level river and bayou flooding episode.Three to four day rainfall totals, greater than 40 inches (closer to 50 inches in areas surrounding Santa Fe and Dickinson) have made the largest flood in Houston-Galveston history.A wave in the atmosphere last week went through rapid intensification, from a wave to a Category 4 landfall in less than 60 hours.
Around Houston and southeast Texas, Harvey, will transition from being an extreme flash flooding event to a longer lived record-level river and bayou flooding episode.Three to four day rainfall totals, greater than 40 inches (closer to 50 inches in areas surrounding Santa Fe and Dickinson) have made the largest flood in Houston-Galveston history.A wave in the atmosphere last week went through rapid intensification, from a wave to a Category 4 landfall in less than 60 hours.
More rain, more deaths: Fourth largest city in U.S. paralyzed by Harvey floods
HOUSTON (AP) — Floodwaters reached the rooflines of single-story homes Monday and people could be heard pleading for help from inside as Harvey poured rain on the Houston area for a fourth consecutive day after a chaotic weekend of rising water and rescues.The nation's fourth-largest city was still mostly paralyzed by one of the largest downpours in U.S. history.
HOUSTON (AP) — Floodwaters reached the rooflines of single-story homes Monday and people could be heard pleading for help from inside as Harvey poured rain on the Houston area for a fourth consecutive day after a chaotic weekend of rising water and rescues.The nation's fourth-largest city was still mostly paralyzed by one of the largest downpours in U.S. history.
Donating to Harvey relief efforts: How, when, what to give
NEW YORK (AP) — Charities are stepping up their donation requests in the wake of Harvey, a severe, Category 4 hurricane that has devastated South Texas and could still lead to worse flooding in the days ahead.But this is not an excuse to clean out your closet.
NEW YORK (AP) — Charities are stepping up their donation requests in the wake of Harvey, a severe, Category 4 hurricane that has devastated South Texas and could still lead to worse flooding in the days ahead.But this is not an excuse to clean out your closet.
5 fake Hurricane Harvey photos going viral
HOUSTON -- Hurricane Harvey has done significant damage to the Texas coast, ripping apart buildings in the Corpus Christi area and dumping near-record rainfall on Houston.Incredible images have come out of the area, which has resulted in several fake photos being circulated online.Here are five fake photos making the rounds on social media:
HOUSTON -- Hurricane Harvey has done significant damage to the Texas coast, ripping apart buildings in the Corpus Christi area and dumping near-record rainfall on Houston.Incredible images have come out of the area, which has resulted in several fake photos being circulated online.Here are five fake photos making the rounds on social media:
Fire destroys home during Harvey -- but a Virgin Mary statue survived
It wasn't just wind and rain that caused damage when Hurricane Harvey blasted through the Texas coast.
It wasn't just wind and rain that caused damage when Hurricane Harvey blasted through the Texas coast.
Amazon, Microsoft, Starbucks donate to American Red Cross Hurricane Harvey relief fund
The biggest Seattle corporations are doing their part to help with the devastating floods in southeast Texas caused by Hurricane Harvey.
The biggest Seattle corporations are doing their part to help with the devastating floods in southeast Texas caused by Hurricane Harvey.
Rescuers pluck hundreds from rising floodwaters in Houston
The incessant rain covered much of Houston in turbid, gray-green water and turned streets into rivers navigable only by boat.
The incessant rain covered much of Houston in turbid, gray-green water and turned streets into rivers navigable only by boat.
Dog spotted roaming Texas neighborhood carrying entire bag of dog food after Hurricane Harvey
A photo of a dog in Texas carrying an entire bag of dog food following the devastation of Hurricane Harvey is beginning to go viral.
A photo of a dog in Texas carrying an entire bag of dog food following the devastation of Hurricane Harvey is beginning to go viral.



















